
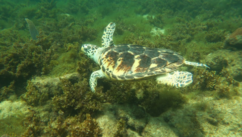
The UWI Port Royal Marine Lab (PRML) received Bob, a Hawksbill Turtle, as a rescue from the team at The National Environment and Planning Agency (NEPA). Due to extended exposure in freshwater, the turtle was kept at the lab for monitoring and to acclimatize back to full seawater. This was done by starting it in a mixture of freshwater and saltwater to reduce shock and then increasing the salinity daily until in full seawater for a period of time. On January 31, 2022 the turtle was tagged and released at sea.
Carapace (Shell) Length: 37.5cm
Weight: 6.6kg
Reminder: Sea turtles are protected under the Wild Life Protection Act. It is an offence to have a sea turtle or any part of the animal in one's possession.
To learn more about PRML and the work they are doing visit: Website
To see Bob at sea: Instagram
