UWI invites Applications for Prestigious, £1 Million Earthshot Prize
The search for the winners of The Earthshot Prize 2022 is underway and The University of the West Indies (The UWI) is inviting applications from staff, students, alumni, NGOs and other stakeholders from across the Caribbean.
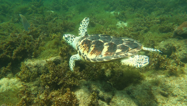
Read moreGoodbye Bob | Port Royal Marine Lab
The UWI Port Royal Marine Lab (PRML) received Bob, a Hawksbill Turtle, as a rescue from the team at The National Environment and Planning Agency (NEPA). Due to extended exposure in freshwater, the turtle was kept at the lab for monitoring and to acclimatize back to full seawater.
Read moreThe P.J. Patterson Centre for Africa-Caribbean Advocacy at The UWI calls for the posthumous exoneration of Marcus Garvey.
The following statement is issued by Most Hon P.J. Patterson, Statesmen-in Residence at the PJ Patterson Centre for Africa-Caribbean Advocacy at The University of the West Indies (The UWI).
Read moreCampaign to Exonerate Marcus Garvey moves into High Gear
The following is issued by Most Hon P.J. Patterson, Statesman-in-Residence at the P.J. Patterson Centre for Africa-Caribbean Advocacy at The University of the West Indies (The UWI).
Read moreAnother Global Gold Award for The UWI
The University of the West Indies (The UWI) has won another gold international award for its branding and marketing.
Read more





